Jamaica teme una destrucción masiva al acercarse el huracán Melissa
Melissa avanza por el Caribe y ya ha dejado siete muertos.
Las autoridades de Jamaica instaron a la población a buscar refugio ante la inminente llegada del huracán Melissa que, según declaró la Cruz Roja, podría afectar a al menos 1,5 millones de personas en esta nación insular.
La tormenta de categoría 5, la máxima en la escala Saffir-Simson, avanza lentamente por el Caribe, donde ya dejó siete muertos: tres en Jamaica, tres en Haiti y uno en República Dominicana.
- Te Recomendamos Jamaica se prepara para el impacto devastador del huracán Melissa Nacional
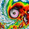
El Centro Nacional de Huracanes de Estados Unidos (NHC) informó el martes 28 de octubre en la mañana que Melissa estaba a unos 185 kilómetros de Kingston, la capital de Jamaica, con viento de 280 kilómetros por hora.
Sus fuertes vientos combinados con intensas precipitaciones podrían causar una devastación similar a la de otros huracanes históricos, como María en 2017 o Katrina de 2005.
La Cruz Roja de Jamaica ya empezó a distribuir agua potable y kits de higiene a la población. "Hay algunas zonas en las que ya se están produciendo deslizamientos de tierra", declaró a la AFP Esther Pinnock, responsable de comunicación de la oenegé.
La Federación Internacional de Sociedades de la Cruz Roja y de la Media Luna Roja (IFRC) calcula que cerca de 1,5 millones de personas podrán verse afectadas por la tormenta. Jamaica tiene unos 2,8 millones de habitantes.
"La amenaza humanitaria es grave e inmediata", dijo desde Gimebra Necephor Mghendi, jefe de la delegación de la IFRC para el Caribe anglófono y neerlandófono.
Hurricane #Melissa Advisory 28A: Eye of Extremely Dangerous Category 5 Melissa Approaching Western Jamaica. Catastrophic Winds, Flash Flooding, and Storm Surge Expected On The Island Today. https://t.co/tW4KeGdBFb
— National Hurricane Center (@NHC_Atlantic) October 28, 2025
El primer ministro de Jamaica, Andrew Holness, dijo que el extremo occidental de la isla enfrentaba la peor destrucción e instó a los residentes a evacuar.
"No creo que haya infraestructura en esta región que pueda resistir una tormenta de categoría 5, por lo que podría haber una perturbación significativa", declaró el lunes a CNN.
"No me quiero ir"
A pesar de las órdenes de evacuación, muchos residentes de Jamaica decidieron quedarse.
"No me voy a mover. No creo poder escapar de la muerte", dijo a la AFP Roy Brown, en la zona costera de Port Royal en Kingston.
Este plomero se mostró reacio de dejar su hogar por experiencias pasadas con las malas condiciones de los refugios gubernamentales para huracanes.
La pescadora Jennifer Ramdial coincidió. "Simplemente no me quiero ir", dijo a la AFP.
- Te Recomendamos Dólar en Costa Rica: Tipo de cambio para este martes 28 de octubre Nacional
Holness sostuvo que la evacuación era por "el bien nacional de salvar vidas".
"Se les advirtió. Ahora depende de ustedes", dijo en rueda de prensa.
Si no pierde intensidad, Melissa será el huracán más potente que haya tocado tierra en Jamaica desde que se tienen registros meteorológicos.
Parte de su ipmacto proviene de su ritmo lento: avanza más despacio que una persona caminando, lo cual hace que permanezca más tiempo en cada lugar a su paso.
"Fase de alarma" en Cuba
El huracán también amenaza el este de Cuba, así como el sur de las Bahamas y el archipiélago de Turcas y Caicos, un territorio británico.
En Cuba, con dificultades para difundir información preventiva por la falta de electricidad, las autoridades apuran preparativos para recibir este martes los embates de Melissa.
El Consejo de Defensa Nacional declaró la "fase de alarma" en las seis provincias del este (Santiago de Cuba, Guantánamo, Holguín, Camagüey, Granma y Las Tunas).
Las autoridades empezaron a evacuar a unas 650.000 personas en estas provincias, donde la población hace acopio de víveres y trata de asegurar con cuerdas los techos de sus hogares. Las clases y actividades laborales no esenciales fueron suspendidas.
"Tengo mucho temor porque es un huracán muy peligroso. Pueden pasar cosas grandes, puede acabar con la casa de uno", confió a la AFP Anabel Chacón, una ama de casa de 62 años que tiene una vivienda de hojas de zinc en Bayamo, la capital de Granma.
5AM EDT Oct 28th Key Messages for Hurricane #Melissa: #Jamaica: Remain sheltered! Catastrophic flash flooding, landslides, and destructive winds will continue through today, causing widespread infrastructural damage, power and communication outages, and isolated communities.… pic.twitter.com/SKhVS77oZO
— National Hurricane Center (@NHC_Atlantic) October 28, 2025
Varias entidades en el sur de Florida preparan ayuda destinada a Jamaica.
La oenegé Global Empowerment Mission (GEM), especializada en asistencia humanitaria durante catástrofes, es una de las mayores impulsoras de ese esfuerzo.
Desde su sede de Doral, cerca de Miami, recibe, empaqueta y prepara el envío por avión de alimentos, agua y artículos de primera necesidad: en total unas 22 toneladas de suministros con destino a Kingston.
Melissa es la decimotercera tormenta con nombre -es decir, que tiene seguimiento- de la temporada de huracanes del Atlántico, que se extiende desde principios de junio hasta finales de noviembre. (AFP)
- Queda prohibida la reproducción total o parcial del contenido de esta página, mismo que es propiedad de TELEDIARIO; su reproducción no autorizada constituye una infracción y un delito de conformidad con las leyes aplicables.
-